![]() |
Fish Watcher Record |
|
Contributor: Platon Kleanthidis
| ID: 1070 Territory: Greece Address: Mak.Aminis 17 - Thessaloniki - 54631 Web page: |
| Update entries Point map FishWatcher records of this species View image | |||||
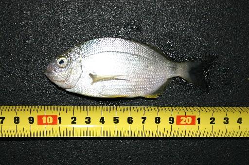
| Species: | Diplodus annularis | ||||
| URL: | |||||
| Locality:* | Pagasitikos Gulf, Kalamos | ||||
| Type: | Sea | ||||
| Salinity:* | marine | ||||
| Water depth: | 0 - 1 m | ||||
| Latitude:* | 39° 14' N Latitude (dec): 39.233333333333 | ||||
| Longitude:* | 23° 11' W Longitude (dec): -23.183333333333 | ||||
| Accuracy: | |||||
| Territory:* | Greece | ||||
| FAO area:* | Mediterranean and Black Sea | ||||
| Temp.: | °C | ||||
| Date:* | 03/09/2005, dd/mm/yyyy | ||||
| Day time: | 12 - 18 h e.g. 13:00 - 15:00 | ||||
| Length:* | 11.6 cm Type:* TL | ||||
| Weight: | g | ||||
| Abundance: | abundant (always seen in some numbers) | ||||
| Life stage: | |||||
| Sex: | |||||
| Gear: | hook | ||||
| Source: | |||||
| Remark: | |||||
| Note: Entries marked as * are required. | |||||